English
Services
Disease Fruit, Leaf, Stem
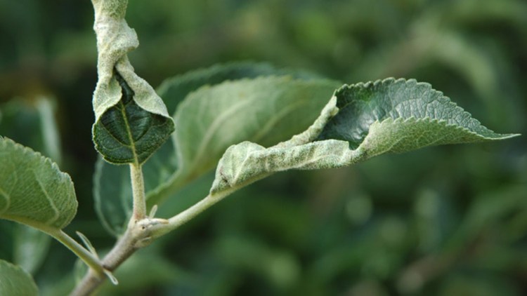
Powdery Mildew (Apples)
Powdery Mildew (Apples)
[Podosphaera leucotricha]
west
east
Top